
Arubastraat Ligplaats 0ong
2405 EX, ALPHEN AAN DEN RIJN
€ 60.000,00
-
m2
-
0 kamers
-
0 slaapkamers
-
0 badkamers
Informatie
-
Bouwjaar
-
Woonoppervlakte
m2
-
Aantal kamers
0
In de luwte van het centrum van Alphen aan den Rijn, is in een rustige straat de binnenhaven aan de Arubastraat te vinden. De haven is gelegen ten midden van woning met een directe verbinding van het vaarwater van de Oude Rijn. Ligplaatseigenaren kunnen middels een sleutel zelf de karakteristieke ophaalbrug bedienen en zo zelf de haven in en uit varen.
Vanuit hier is een open vaarverbinding naar onder andere de Zegerplas, maar ook het Braassemermeer, Westereinderplassen en de Nieuwkoopse Plassen zijn vanaf hier te bereiken.
Bijzonderheden
- Op zoek naar een grote ligplaats dichtbij huis? Dan is dit een buitenkansje!
- De ligplaats in de binnenhaven betreft het 'grote' type ligplaats
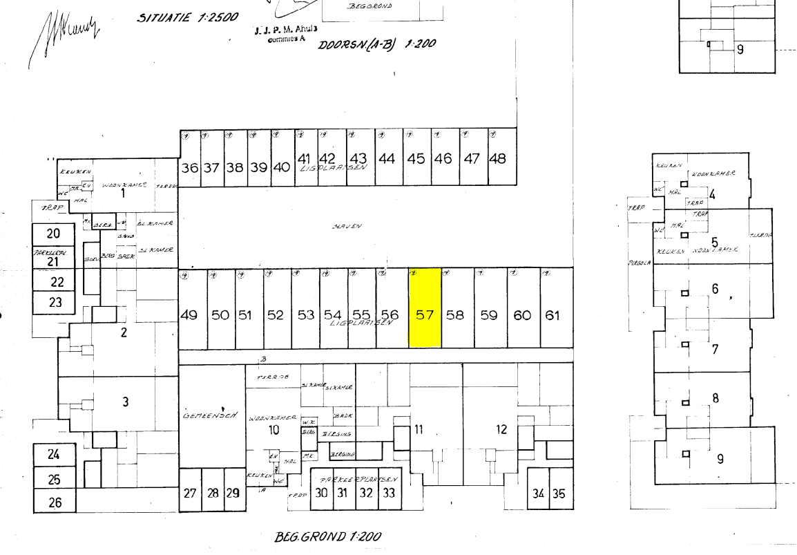
- De kadastrale aanduiding van de ligplaats betreft Gemeente Alphen aan den Rijn, sectie A nummer 5948 A57
- Wanneer je het appartement koopt ben je van rechtswege lid van de Vereniging van Eigenaren. De stukken van deze vereniging zijn digitaal verkrijgbaar
- De tweejaarlijkse bijdrage van de VVE bedraagt 165 euro. Voor 2024 en 2025 is deze bijdrage reeds voldaan door de huidige eigenaar
Afmetingen
De afmetingen van de ligplaats bedragen circa 8.60 x 3.00 meter. De doorvaarbreedte van de ligplaats is circa 2.86 meter.
AAN DE FOTO'S, TEKST EN PLATTEGRONDEN KUNNEN GEEN RECHTEN WORDEN ONTLEEND
Locatie
Zon verloop
Kenmerken
Overdracht
-
Status
MOOIJ te laat
-
Vraagprijs
€ 60.000,00
-
Vraagprijs per m2
€ 0,00
Bouw
-
Bouwjaar
-
Bouwvorm
Bestaande bouw
-
Soort dak
Oppervlakten en inhoud
-
Woonoppervlakte
m2
-
Inhoud
0 m3
Indeling
-
Aantal kamers
0
-
Aantal badkamers
0
-
Aantal slaapkamers
0
Energie
Kadastrale gegevens
-
Gemeente
Alphen Aan Den Rijn
-
Sectie
A
-
Perceelnummer
5948
-
Eigendomssituatie
Volle eigendom
Buitenruimte
Parkeergelegenheid
Overig
-
Permanente bewoning
Nee
-
Onderhoud binnen
-
Onderhoud buiten
-
Huidig gebruik
Overigog
-
Huidige bestemming
Overigog

Contactpersoon
Marlous Mooij
06 - 53 51 15 54